「シミや肝斑が気になる」
「この頃、老けてみられる」
気になるシミや肝斑を取りたくても、どこのクリニックが良いか分からない人もいるのではないでしょうか。そこで今回はシミ取り治療が評判の良いクリニックを紹介します。
また、費用や効果なども記載しているので参考にしてください。
シミ取り治療で評判の良いクリニック
トップ5を比較
![]() |
![]() |
![]() |
![]() |
![]() |
|
|---|---|---|---|---|---|
| クリニック名 | 東京中央美容外科 | クリニックフォア | 東京美容外科 | 品川スキンクリニック | 水の森美容外科 |
| シミ取り治療 レーザー 費用 |
9,800円 ピコレーザー |
11,000円 Qスイッチ ルビーレーザー |
3,300円 ピコレーザー (1mm) |
2,700円 レーザートーニング |
16,500円 ピコトーニング |
| シミ取り治療 光治療 |
2,040円 ライトフェイシャル |
26,180円 フォトフェイシャル |
27,500円 ルメッカインモード |
7,990円 フォトシルクプラス |
26,400円 メソナJ |
| シミ取り治療 ピーリング |
14,100円 コラーゲンピール |
6,600円 ウーバーピール |
19,800円 コラーゲンピール |
10,800円 コラーゲンピール |
13,200円 ハイドラピーリング |
| お得情報 | 症例モデル割引 学割 シニア割引 交通費補助制度 駐車料金無料制度 |
なし | ポイントカード制度 モニター価格 |
会員特典 学割 |
通常割引 部分写真モニター |
| 公式サイト |
※料金はすべて税込表記
こんな人にシミ取り治療はおすすめ

出典:湘南美容クリニック
シミの種類別に評判のシミ取り治療
特徴や原因を解説
| 特徴 | 原因 | おすすめの治療 | |
|---|---|---|---|
老人性色素斑(日光黒子)![]() |
シミの境界がはっきりしている 円形で茶褐色 小さいものから大きいものまである |
紫外線 | レーザートーニング Qスイッチ ピーリング |
|
肝斑 |
頬骨を中心にできる 左右対称のもやもやとしたシミ 20代後半からできやすい 閉経とともに改善することも |
女性ホルモンの乱れ | レーザートーニング 内服薬 |
|
雀卵斑(そばかす) |
目の下から頬骨にできる 5mmほどの小さなシミの集まり 幼少期から出る |
遺伝 | 光治療 ピコトーニング |
|
後天性真皮メラノサイトーシス |
2両側の頬にグレーがかった大きめのシミ 真皮内にできる |
加齢 紫外線 ホルモンバランスの乱れ |
Qスイッチ |
|
色素沈着 |
皮膚の炎症跡 茶褐色 時間経過で良くなる |
ニキビ跡 火傷跡 虫刺され |
レーザートーニング ピーリング |
|
老人性イボ |
老人性色素班(日光黒子)が進行したもの いぼ状に隆起 平らだが触るとざらざらしている |
紫外線 加齢 |
炭酸ガスレーザー レーザートーニング |
出典:品川スキンクリニック
【シミの種類別】治療方法は主に5つ
ダウンタイムや副作用も解説

シミ取り治療①ピコトーニング

出典:恵聖会クリニック
ピコトーニングはシミや肝斑に効果的
ピコトーニングはシミだけでなく、肝斑にも効果が期待できます。
高出力のレーザーでは肝斑を悪化させてしまいますが、低出力で肝斑のメラニン色素だけの破壊できるようになりました。
炎症を起こさないので痛みを抑えられ、麻酔なしでも照射ができます。
ピコトーニングのダウンタイムや副作用
ピコトーニングにはダウンタイムや副作用はほとんどありません。
施術後にほてりやチクチク感を感じる人もいますが、一時的なものでほとんどの方がすぐに気にならなくなります。
まれに色素沈着や白斑を起こす方もいますので、施術後は紫外線対策をしっかりして刺激は避けましょう。
ピコトーニングが向いている人
・痛みやダウンタイムを避けたい人
・日常的に多くの人と接する人
・シミやくすみなどを根本から治療したい人
・今までの肝斑治療で効果がなかった人
・なるべく肌への負担を抑えた治療をしたい人
ピコトーニングの効果がわかる症例写真

出典:品川美容外科
症例詳細はこちら
詳細:PICOトーニング6回:レーザーによる肝斑・くすみ治療
税込:最低/最高価格 8,900円(税込9,790円)~15,000円(税込16,500円)
リスク・副作用:ハレ/赤み/痛み:数時間~1日。治療間隔:4週間に~10回程度

出典:品川美容外科
症例詳細はこちら
詳細:PICOトーニング6回:レーザーによる肝斑・くすみ治療
税込:最低/最高価格 8,900円(税込9,790円)~15,000円(税込16,500円)
リスク・副作用:ハレ/赤み/痛み:数時間~1日。治療間隔:4週間に~10回程度
シミ取り治療②レーザートーニング
出典:共立美容外科
レーザートーニングはシミや肝斑に効果的
レーザートーニングは、微弱なパワーでお肌にレーザーを当ててメラニンを徐々に減少させます。
今までのレーザー治療では、高出力のため難かしかった肝斑を含めた色素性の病変を改善が期待できます。
レーザートーニングのダウンタイムや副作用
レーザートーニングはダウンタイムや副作用がほぼありません。
照射後、治療部分が赤茶色く濃くなる場合がありますが、すぐに落ち着いていきます。
個人差がありますが痛みもほとんどなく、施術当日から洗顔やメイクが可能で特別なアフターケアをしなくても大丈夫です。
レーザートーニングが向いている人
・シミや肝斑をなかったことにしたい人
・肝斑のようなモヤッとしたシミを消したい人
・お肌が暗くなったせいで老けて見られる人
・加齢のせいで仕方ないとあきらめている人
・ハリのあるお肌を取り戻したい人
・お肌の潤いと美肌効果も得たい人
レーザートーニングの効果がわかる症例写真

出典:品川美容外科
症例詳細はこちら
詳細:肝班治療・ レーザートーニング:Qスイッチヤグレーザー、メドライトC6、ヘラXPによるシミや肝斑の治療
税込:最低/最高価格 10,900円(税込11,990円)~18,170円(税込19,990円)
リスク・副作用:ハレ/痛み:数時間位 発疹/内出血:2週間位

出典:品川美容外科
症例詳細はこちら
詳細:レーザートーニング12回:レーザーによる肝斑・くすみ治療
税込:最低/最高価格 2,450円(税込2,700円)~41,230円(税込45,360円)
リスク・副作用:ハレ/痛み:数時間位 小さなかさぶた/ニキビ/内出血:1週間~10日位 治療間隔:1週間に1回
シミ取り治療③ピーリング

ピーリングはターンオーバーを正常にする
ピーリングは、皮膚の表面にある古い角質が溜まった層を除去してターンオーバーを正常に整えます。
本来、古い角質は自然に排出されるものですが、加齢やストレスなどでターンオーバーが乱れます。
ターンオーバーが乱れると、シミやシワなどの肌トラブルの原因になるので早めの対策が必要です。
ピーリングのダウンタイムや副作用
ケミカルピーリングにダウンタイムや副作用はほぼありません。
施術中は、ピリピリとした刺激を感じる人もいますが、痛みはほぼないので麻酔の必要もありません。
ピーリングが向いている人
・ダウンタイムの心配をせずに肌トラブルを改善したい人
・お肌のターンオーバーを正常にしたい人
・安全な施術でお肌への負担なく肌質改善をしたい人
・シミ・シワ・くすみ・そばかす・ニキビ・ニキビ跡などをケミカルピーリングで治療したい人
ピーリングの効果がわかる症例写真

出典:品川美容外科
症例詳細はこちら
詳細:ケミカルピーリング:薬剤を塗り、古い角質を除去してターンオーバーを活性化させる治療
税込:最低/最高価格 3,920円(税込4,320円)~11,780円(税込12,960円)
リスク・副作用:かゆみ:わずかなかゆみやピリピリした感じ 治療間隔:2週間以上空けて数回

出典:品川美容外科
症例詳細はこちら
詳細:ケミカルピーリング:薬剤を塗り、古い角質を除去してターンオーバーを活性化させる治療
税込:最低/最高価格 3,920円(税込4,320円)~11,780円(税込12,960円)
リスク・副作用:かゆみ:わずかなかゆみやピリピリした感じ 治療間隔:2週間以上空けて数回
シミ取り治療④光治療

出典:銀座よしえクリニック
光治療はシミやそばかすに効果的
光治療は、広く光を照射しシミやそばかすの原因となるメラニンやヘモグロビンにダメージを与えます。
ピンポイントで照射するレーザーと違い、幅広い波長を持つためターゲットが広くなるのも特徴。
顔全体に照射するため、自分では気付かないシミやそばかすにも効果が期待できます。
光治療のダウンタイムや副作用
光治療は、お肌への負担がほとんどないためダウンタイムや副作用はほぼありません。
お肌が弱い方や敏感になっている方は、稀に赤みが生じる場合があるものの、2~3日ほどで治まります。
光治療が向いている人
・薄いシミや見えないシミも取り除きたい人
・シミが顔全体にできている人
・シミ取りだけでなく肌質改善もしたい人
・強い刺激は避けたい人
・カサブタなどのダウンタイムの時間が取れない人
光治療の効果がわかる症例写真

出典:品川美容外科
症例詳細はこちら
詳細:フォトシルクプラス:光照射によるシミ・くすみ治療
税込:最低/最高価格 7,260円(税込7,990円)~44,180円(税込48,600円)
リスク・副作用:かゆみ:わずかなかゆみ 治療間隔:3週間以上空けて数回

出典:品川美容外科
症例詳細はこちら
詳細:ハイパーフォトシルクプラス:光照射によるシミ・くすみ治療
税込:最低/最高価格 49,450円(税込54,400円)~61,810円(税込68,000円)
リスク・副作用:かゆみ:わずかなかゆみ 治療間隔:3週間以上空けて数回
シミ取り治療⑤Qスイッチレーザー

出典:関東労災病院
QスイッチレーザーはそばかすやADM(後天性真皮メラノサイトーシス)を改善
ADMを改善するには、皮膚の深い部分(真皮)に存在するメラニンを確実に破壊できるパワーが必要なため、Qスイッチレーザーが適しています。
また、Qスイッチレーザーは、弱いパワーで顔全体に照射することもできるので、いろいろなタイプのシミやそばかすにも対応可能です。
Qスイッチレーザーのダウンタイムや副作用
治療後、数日から1週間程度は照射部位が腫れて見えます。
カサブタが剥がれたあと、レーザーの反応による影響で色素沈着が起きる可能性があります。
一過性のもので、何もしなくても数ヶ月から半年程度で消えますが、早く良くするために塗り薬を使用するのがおすすめです。
Qスイッチレーザーが向いている人
・後天性真皮メラノサイトーシス(ADM)を改善したい人
・健康な肌を傷付けずにシミだけを取りたい人
・効果的に少ない回数でシミを取りたい人
・濃いシミ、そばかす、生まれつきある青あざなどを選択的して消したい人
Qスイッチレーザーの効果がわかる症例写真
症例詳細はこちら
詳細:Qスイッチルビーレーザー:メラニン色素に強く反応するレーザーで、正常な皮膚へのダメージを少なく、シミ、そばかす、あざなどの治療を行います。
税込:最低/最高価格 5mmまで11,000円(税込)、1cmまで22,000円(税込)
リスク・副作用:内出血、発赤、熱感、痒み、痛み、色素沈着などを生じることがあります。また、ごくまれに白抜けする可能性があります。

出典:シロノクリニック
症例詳細はこちら
詳細:レーザー治療(Qスイッチルビーレーザー):しみ、そばかす、あざなどの原因となるメラニン色素を破壊する治療です。
税込:最低/最高価格 5mm以下 5,500円/1㎠ 22,000円(税込)
リスク・副作用:赤み、熱感、色素沈着、痒みなどの可能性があります。
シミ取り治療にはレーザー治療
3つのメリット

レーザーのメリット①痛みが少ない
ピコレーザーは、お肌へのダメージが少ないことが特徴です。
皮膚に対する熱ダメージを限りなく抑えることが可能なため、施術中の痛みは、それほど強くありません。
痛みを全くなくすことはできませんが、輪ゴムで弾かれた程度で我慢できないほどではないでしょう。
レーザーのメリット②施術回数が少なくて済む
ピコトーニングは、少ない回数で効果が期待できます。
それは、色素の粒子を細かく粉砕できるレーザーだからです。
壊された色素は細かいため、身体の代謝機能で体外へ排出されやすくなっています。
ただし、1回の照射で全てが完了するわけではありません。症状により適切な回数の照射が必要です。
レーザーのメリット③美肌効果も期待できる
レーザーフェイシャルは、毛穴の黒ずみの改善効果も期待できます。毛穴が黒ずむ原因は、毛穴周辺のメラニン色素です。
レーザーフェイシャルは、皮膚からメラニン色素を追い出す働きも。
毛穴の黒ずみを改善し、徐々に毛穴が目立たなくなります。
シミ取り治療のクリニックを選ぶ際のポイント

選び方①シミの種類とあった治療を提案してくれるか
一言でシミといってもさまざまな種類があるため、シミの種類と合った治療を提案してくれることが1番のポイントです。
女性の場合、多いのが老人性色素斑と肝斑です。
また、シミだと思っていたものが病気の可能性もあります。
シミの種類や状況を的確に判断し、適切な治療をしないと悪化させてしまう可能性もあるので注意しましょう。
選び方②ダウンタイムや副作用も解説してくれるか
治療には、多かれ少なかれダウンタイムや副作用があります。
可能性がほぼなかったとしても、思いがけないことが起こる場合も。
メリットだけでなくデメリットもしっかり解説してくれるクリニックが良いでしょう。
選び方③通いやすい場所にあるか
シミ取り治療は、1回で終わることは少ないため通やすさも大切です。
通い続けるためには、自宅や職場の近くなど通い場所を選びましょう。
また、自分が行きたい曜日や時間に営業しているかも確認すると良いですね。
シミ取り治療の費用がわかる
評判の良いクリニック11選の比較表
| クリニック名 | シミ取り治療の値段 レーザー |
シミ取り治療の値段 |
シミ取り治療の値段 ピーリング |
カウンセリング料 | 全国院数 | お得情報 | 他と違う 人気 ポイント |
向いている人 |
|---|---|---|---|---|---|---|---|---|
![]() 東京中央美容外科 |
9,800円/回 ピコトーニング |
2,040円/回 ライトフェイシャル |
14,100円/回 コラーゲンピール |
無料 | 77院 | 初回限定価格 シニア割引 症例モデル割引 |
クリニック数が多い | あざや色素沈着を を消したい |
![]() クリニックフォア |
11.000円/回 Qスイッチルビーレーザー |
26,180円/回 フォトフェイシャル |
6,600円/回 ウーバーピール |
初回:3,850円 再診:1,650円 |
10院 | なし | カスタマイズ治療 | シミの根本原因に アプローチしたい |
![]() 東京美容外科 |
3,300円/回 ピコレーザー(1mm) |
27,500円/回 ルメッカインモード |
19,800円/回 コラーゲンピール |
無料 | 18院 | ポイントカード制度 モニター価格 |
熟練した医師が施術 |
まだ表面に出ないシミにも アプローチしたい |
![]() 品川スキンクリニック |
2,700円/回 レーザートーニング |
7,990円/回 フォトシルクプラス |
10,800円/回 コラーゲンピール |
無料 | 39院 | 会員特典 学割 |
年間50万人のシミを治療 | 豊富な治療方法から 選びたい |
![]() 水の森美容外科 |
16,500円/回 ピコトーニング |
26,400円/回 メソナJ |
13,200円/回 ハイドラピーリング |
無料 | 5院 | 通常割引 部分写真モニター |
安心ポイントで納得の治療 | 薄いシミにも対応したい |
![]() シロノクリニック |
5,500円/回 Qスイッチヤグレーザー |
66.000円/回 フォトシルクプラス |
31,900円/回 リバーシブル |
WEB予約で無料 | 4院 | 65歳以上10%割引 ポイントシステム 紹介割引 学生割引 医療従事者割引 |
レーザー治療専門クリニック | シミをレーザーで取りたい |
![]() 聖心美容クリニック |
5,500円/回 直径1mm |
36,300円/回 ライムライト |
25,300円/回 p-フェイシャル |
無料 | 10院 | セイシンポイントクラブ | 冷静な判断で納得の治療 | ピンポイントでシミを取りたい |
![]() 表参道スキンクリニック |
21,000円/回 レーザートーニング |
43,000円/回 BBL光治療 |
16,500円/回 ハイドラフェイシャル |
3,000円 初診料 |
4院 | 症例モニター | 組み合わせ施術でシミを治療 | 心も明るくなりたい |
![]() エトワールレジーナクリニック |
8,580円/回 ピコトーニング |
16,400円/回 フォトフェイシャル |
5,500円/回 ミックスピール |
無料 | 2院 | VIPプラン ゴールドプラン プラチナプラン ダイヤモンドプラン |
ピコレーザーでシミを治療 | 心も癒やしたい |
![]() ガーデンクリニック |
3,300円/回 ピコシミ取り |
11,000円/回 IPL |
33,000円/回 イオン導入 |
無料 | 8院 | 部分モニター 院内モニター |
20年以上変わらぬ美への追求 | まだらを解消したい |
![]() 城本クリニック |
11,000円/回 しみレーザー |
10,780円/回 フォトフェイシャル |
16,500円/回 コラーゲンピール |
無料 | 25院 | 美容治療初回限定トライアル | 有資格者のみで構成 | 通うのが難しい |
※料金はすべて税込表記
東京中央美容外科
シミ取り治療が初回限定価格になる
出典:東京中央美容外科
シミ取り治療の値段
| ピコレーザー・ライト | 9,800円/1回 初回価格 |
| ライトフェイシャル | 2,040円/回 初回価格 |
※上記はすべて税込価格表示
公式サイトはこちら
クリニックの人気ポイント
- コラーゲン生成で美肌効果も
- メラニン色素へ集中照射
- 光のトリートメントで内側からキレイ
人気ポイント①コラーゲン生成で美肌効果も
出典:東京中央美容外科
PICO LASER(ピコレーザー)は、短期間で高い治療効果を期待できるレーザー治療です。
シミやそばかすなどの原因であるメラニン色素を徹底的に破壊します。
色素の破壊とともに、コラーゲン生成が促され美肌効果も期待できます。
人気ポイント②メラニン色素へ集中照射
出典:東京中央美容外科
ピコトーニングは、そばかすや肌のくすみ、シミにお悩みの方に適している治療です。
シミやくすみの原因となるメラニン色素へ集中的にレーザーを照射し、色素を粉砕・除去の効果が期待できます。
従来のものより短時間で照射できるようになり、周辺組織へのダメージが減りました。
人気ポイント③光のトリートメントで内側からキレイ
出典:東京中央美容外科
東京中央美容外科のライトフェイシャルは、光を照射しシミやくすみ、小ジワや赤ら顔などの肌トラブルの改善を行います。
痛みやダウンタイムが殆どなく、施術直後でもお肌が赤くなりません。
レーザーが怖い方や薄いシミを取りたい方に適しています。
シミ取り治療の効果がわかる症例写真

出典:東京中央美容外科
症例詳細はこちら
詳細:ピコレーザー:シミ取り放題
税込:最低/最高価格 152,800円
リスク・副作用:腫れ・内出血・赤み
[open title=”▶︎症例写真をもっと見る”]

出典:東京中央美容外科
症例詳細はこちら
詳細:ピコレーザーシミ取り:※施術内容
税込:最低/最高価格 9,800円〜91,600円
リスク・副作用:腫れ・内出血・赤み

出典:東京中央美容外科
症例詳細はこちら
詳細:ピコトーニング:シミ取り放題
税込:最低/最高価格 152,800円
リスク・副作用:腫れ・内出血・赤み
[/open]
クリニックの口コミ
[say name=”kmさん” img=”https://cdn.awsapps.jp/klcs/2022/07/06144110/%E3%82%B9%E3%82%AF%E3%83%AA%E3%83%BC%E3%83%B3%E3%82%B7%E3%83%A7%E3%83%83%E3%83%88-2022-01-30-0.46.00.png” from=”right”]
カウンセリングの時間しっかりと取ってくださり、沢山話し合いをしてくれたので、施術に踏み切れました。気になるところは隣の部屋の声が聞こえてくるのが良くないなと思った。
引用:みん評
[/say]
[say name=”もっぴーさん” img=”https://cdn.awsapps.jp/klcs/2022/07/06144112/%E3%82%B9%E3%82%AF%E3%83%AA%E3%83%BC%E3%83%B3%E3%82%B7%E3%83%A7%E3%83%83%E3%83%88-2022-01-30-0.46.09.png” from=”left”]
病院の扉を開く前はものすごく緊張していたのですが、出迎えてくれた看護師、カウンセラーの方々が非常に親切で居心地良く感じました。施術前の説明も十分で素人にもわかりやすかったです。
引用:みん評
[/say]
[say name=”みんみんさん” img=”https://cdn.awsapps.jp/klcs/2022/07/06144115/%E3%82%B9%E3%82%AF%E3%83%AA%E3%83%BC%E3%83%B3%E3%82%B7%E3%83%A7%E3%83%83%E3%83%88-2022-01-30-0.46.11.png” from=”right”]
ここにした決めては値段と、口コミです。口コミが高すぎるのは逆にこわいし、値段も安過ぎず、高過ぎず挑戦しやすいと思いました。カウンセリングの際に、たくさん悩みを聞いて下さり、丁寧に質問に答えていただきました。
引用:みん評
[/say]
クリニック情報
| シミ取り治療の内容 | ピコレーザー YAGレーザー Qスイッチレーザー ライトフェイシャル コラーゲンピール イオン導入 内服療法 トレチノイン・ハイドロキノン療法 |
| シミ取り放題 | 152,800円 ピコレーザーシミ取り放題 |
| カウンセリングの料金 | 無料 |
| 予約方法 | WEB・LINE・電話 |
| 支払い方法 | 現金 クレジットカード デビットカード スマホ決済 スマホ後払い 医療ローン |
| 割引 キャンペーン |
症例モデル割引 学割 シニア割引 交通費補助制度 駐車料金無料制度 |
| 院数 | 77院 |
クリニックフォア
皮膚の専門家によるカスタマイズ治療
出典:クリニックフォア
シミ取り治療の値段
| フォトフェイシャル | 26,180円/回 全顔・トライアル |
| Qスイッチルビーレーザー | 11,000円/回 シミ・あざの改善 |
※上記はすべて税込価格表示
クリニックの人気ポイント
- 肌トラブルの根本原因にアプローチ
- 一度の照射で複数のシミ取りが可能
- 色素沈着の防止と美肌効果
人気ポイント①肌トラブルの根本原因にアプローチ
出典:クリニックフォア
フォトフェイシャルは、光照射でメラニン色素にアプローチします。
医療用光治療だから肌の奥までしっかり届き、シミやくすみ、肝斑などの肌トラブルの根本原因にアプローチ。
デリケートな素肌には優しい光でダメージを残しません。
人気ポイント②一度の照射で複数のシミ取りが可能
出典:クリニックフォア
Qスイッチルビーレーザーは、IPLなどの光治療で取ることのできなかったシミやそばかすのお悩み解消に効果が期待できる施術です。
なるべく治療回数を減らしたい、ダウンタイムを軽減したいという方には、1度の照射で複数箇所のシミにアプローチすることも可能です。
希望に添ってくれるので、カウンセリングで相談してみましょう。
人気ポイント③色素沈着の防止と美肌効果
出典:クリニックフォア
ウーバーピールは、ダーマペン4のピーリング剤に新しく加わった薬剤です。
直接お肌に塗ることも可能で、シミや肝斑の原因になる色素沈着防止効果や美白効果まで、幅広いお悩みに対応します。
痛みを感じにくく低刺激なピーリングです。
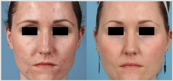
シミ取り治療の効果がわかる症例写真

出典:クリニックフォア
症例詳細はこちら
詳細:フォトフェイシャル【1回目】
税込:最低/最高価格 26,180円
リスク・副作用:ごく稀ではありますが、色素沈着、過敏な皮膚反応、痒み、熱症が起こる場合があります。
クリニックの口コミ
[say name=”みんなさん” img=”https://cdn.awsapps.jp/klcs/2022/07/06144110/%E3%82%B9%E3%82%AF%E3%83%AA%E3%83%BC%E3%83%B3%E3%82%B7%E3%83%A7%E3%83%83%E3%83%88-2022-01-30-0.46.00.png” from=”right”]
皮膚科、美容皮膚科を利用しています。 直前までオンライン予約ができ、web問診票もある為スムーズに診察してもらえました。
引用:google
[/say]
[say name=”mみさん” img=”https://cdn.awsapps.jp/klcs/2022/07/06144112/%E3%82%B9%E3%82%AF%E3%83%AA%E3%83%BC%E3%83%B3%E3%82%B7%E3%83%A7%E3%83%83%E3%83%88-2022-01-30-0.46.09.png” from=”left”]
当日の予約でしたが、空きが確認出来て予約も診察もスムースに進みました。 先生は若い方で、質問にテキパキ答えてくださり感じも良かったです。 暫く通院が必要になりそうですが、ここなら会社帰りにも通えそうです。
引用:google
[/say]
[say name=”junkoさん” img=”https://cdn.awsapps.jp/klcs/2022/07/06144115/%E3%82%B9%E3%82%AF%E3%83%AA%E3%83%BC%E3%83%B3%E3%82%B7%E3%83%A7%E3%83%83%E3%83%88-2022-01-30-0.46.11.png” from=”right”]
勤めている会社に近く、空き時間にwebで予約してすぐ診察して頂けて便利だった。院内も広く吹き抜けで清潔感があった。的確な診察と処方で会社の人にも勧めたい。
引用:google
[/say]
クリニック情報
| シミ取り治療の内容 | フォトフェイシャル Qスイッチルビーレーザー ウーバーピール ダーマペン4 イオン導入 |
| シミ取り放題 | なし |
| カウンセリングの料金 | 初回:3,850円 再診:1,650円 |
| 予約方法 | WEB |
| 支払い方法 | クレジットカード/デビットカード GMO後払い 現金 Amazon pay |
| 割引 キャンペーン |
なし |
| 院数 | 4院 |
東京美容外科
熟練した医師が施術
出典:東京美容外科
シミ取り治療の値段
| ピコレーザー | 3,300円 1mm |
| ルメッカインモード | 27,500円/初回 顔全体(シミ or 赤ら顔) |
※上記はすべて税込価格表示
クリニックの人気ポイント
- 皮膚への衝撃を抑えている
- 痛みがなく麻酔も不要
- まだ表面に現れていないシミにも作用
人気ポイント①皮膚への衝撃を抑えている
出典:東京美容外科
ピコトーニングは、従来のナノ秒より短いパルス幅のピコ秒で照射。
熱作用ではなく、光の衝撃波だけでシミやそばかすなどの色素を破壊します。
シミや肝斑などの真皮内色素を薄くしていく治療です。皮膚への衝撃を抑えてがダメージが少なくなりました。
人気ポイント②痛みがなく麻酔も不要
YAGレーザーには、特に黒い色素に反応して、シミ・あざ・ソバカスなどを消す効果が期待できます。
熟練の医師が、患者のお肌の状態に合わせた適切なパワーで除去治療を行ってくれます。
照射時も痛みはほとんど無く、塗り薬による麻酔も不要で安心して受けられるレーザー治療です。
人気ポイント③まだ表面に現れていないシミにも作用
ルメッカ(インモード)はシミやそばかす、赤ら顔を含めた皮膚の若返りを目的とした新しいフォトフェイシャル治療です。
シミや血管病変を治療するIPLレーザーで、濃いシミはもちろんですが、薄いシミやまだ表面に出ていないシミにも作用します。
肌質改善効果も期待でき明るい肌トーンになります。
シミ取り治療の効果がわかる症例写真

出典:東京美容外科
症例詳細はこちら
詳細:ルメッカ(インモード):IPLレーザーの照射により濃いシミ、薄いシミ、表面に出てきていない隠れたシミやそばかす、赤ら顔を改善する施術
税込:最低/最高価格 顔全体1回 27,500円(税込)
リスク・副作用:かさぶた・ひりつき・痛み・赤み
[open title=”▶︎症例写真をもっと見る”]

出典:東京美容外科
症例詳細はこちら
詳細:ルメッカ(インモード):IPLレーザーの照射により濃いシミ、薄いシミ、表面に出てきていない隠れたシミやそばかす、赤ら顔を改善する施術
税込:最低/最高価格 顔全体1回 27,500円(税込)
リスク・副作用:かさぶた・ひりつき・痛み・赤み

出典:東京美容外科
症例詳細はこちら
詳細:ルメッカ(インモード):IPLレーザーの照射により濃いシミ、薄いシミ、表面に出てきていない隠れたシミやそばかす、赤ら顔を改善する施術
税込:最低/最高価格 顔全体1回 27,500円(税込)
リスク・副作用:かさぶた・ひりつき・痛み・赤み
[/open]
クリニックの口コミ
[say name=”シェイラさん” img=”https://cdn.awsapps.jp/klcs/2022/07/06144110/%E3%82%B9%E3%82%AF%E3%83%AA%E3%83%BC%E3%83%B3%E3%82%B7%E3%83%A7%E3%83%83%E3%83%88-2022-01-30-0.46.00.png” from=”right”]
自分で踏み出したものの不安がすごくありました。しかし、先生がその不安を払拭してくださるような説明をしてくれてとても精神的に支えられました。
引用:google
[/say]
[say name=”nanamiさん” img=”https://cdn.awsapps.jp/klcs/2022/07/06144112/%E3%82%B9%E3%82%AF%E3%83%AA%E3%83%BC%E3%83%B3%E3%82%B7%E3%83%A7%E3%83%83%E3%83%88-2022-01-30-0.46.09.png” from=”left”]
一人に対してかなり丁寧に接しているので慌てずゆっくりと色々決めていけるのでとても好感は持てました。今後もお世話になりたいクリニックです。
引用:google
[/say]
[say name=”サバンナさん” img=”https://cdn.awsapps.jp/klcs/2022/07/06144115/%E3%82%B9%E3%82%AF%E3%83%AA%E3%83%BC%E3%83%B3%E3%82%B7%E3%83%A7%E3%83%83%E3%83%88-2022-01-30-0.46.11.png” from=”right”]
先生はとても優しくてわかりやすく説明をしてくれて納得しながらすすめられたので不安も少なく施術に挑めました。ここにいってよかったなと本気で思っています。
引用:google
[/say]
クリニック情報
| シミ取り治療の内容 | ピコレーザー YAGレーザー ルメッカインモード コラーゲンピール |
| シミ取り放題 | 330,000円 老斑除去顔取り放題 |
| カウンセリングの料金 | 無料 |
| 予約方法 | WEB |
| 支払い方法 | 現金 クレジットカード デビットカード 医療分割 コード決済 |
| 割引 キャンペーン |
ポイントカード制度 もにた |
| 院数 | 18院 |
品川スキンクリニック
治療方法が豊富
出典:品川スキンクリニック
シミ取り治療の値段
| レーザートーニング | 2,700円/初回 ホホのみ |
| フォトシルクプラス | 7,990円/初回 ホホ下 |
※上記はすべて税込価格表示
クリニックの人気ポイント
- レーザーで肝斑治療が可能
- 年間50万人のシミや肝斑を治療
- 診断チャートで自分に必要な治療が分かる
人気ポイント①レーザーで肝斑治療が可能
出典:品川スキンクリニック
今までNGとされてきた、レーザーによる肝斑治療が可能になりました。
レーザーとニングという特殊な照射技術が搭載され、シミや色素沈着の症状を増幅させることなく改善できるようになったのです。
トライアル1回2,700円(税込)という低価格で受けられるは、大手クリニックだからこそできる価格です。
人気ポイント②年間50万人のシミや肝斑を治療
出典:品川スキンクリニック
品川スキンクリニックでシミ取り治療を受ける人は、年間なんと50万人もいます。
レーザーだけでなく、導入やピーリング、内服薬や点滴と多くの治療方法があるのも人気のポイントです。
シミや肝斑で悩んでいるのはあなただけではありません。
どんな治療が自分に一番合っているのか、まずはカウンセリングで相談してみましょう。
人気ポイント③診断チャートで自分に必要な治療が分かる
出典:品川スキンクリニック
マスク生活が日常になっている今は、レーザーによるシミ取り治療が人気です。
施術痕がマスクで隠れるということもありますが、自分磨きを楽しむ人が増えています。
品川スキンクリニックでは、診断チャートで自分に合った治療をチェックできるので、自分に必要な治療が何か分かりますよ。
シミ取り治療の効果がわかる症例写真

出典:品川スキンクリニック
症例詳細はこちら
詳細:レーザートーニング:レーザーによる肝斑・くすみ治療
税込:最低/最高価格 2,450円(税込2,700円)~41,230円(税込45,360円)
リスク・副作用:ハレ/痛み:数時間位 小さなかさぶた/ニキビ/内出血:1週間~10日位 治療間隔:1週間に1回
[open title=”▶︎症例写真をもっと見る”]

出典:品川スキンクリニック
症例詳細はこちら
詳細:ピコトーニング:レーザーによる肝斑・くすみ治療
税込:最低/最高価格 8,900円(税込9,790円)~15,000円(税込16,500円)
リスク・副作用:ハレ/赤み/痛み:数時間~1日。治療間隔:4週間に~10回程度

出典:品川スキンクリニック
症例詳細はこちら
詳細:脱!シミ宣言:Qスイッチヤグレーザー、メドライトC6、ヘラXPによるシミや肝斑の治療
税込:最低/最高価格 10,900円(税込11,990円)~18,170円(税込19,990円)
リスク・副作用:ハレ/痛み:数時間位 発疹/内出血:2週間位
[/open]
クリニックの口コミ
[say name=”リエさん” img=”https://cdn.awsapps.jp/klcs/2022/07/06144110/%E3%82%B9%E3%82%AF%E3%83%AA%E3%83%BC%E3%83%B3%E3%82%B7%E3%83%A7%E3%83%83%E3%83%88-2022-01-30-0.46.00.png” from=”right”]
術後、眼鏡を忘れてしまい(家の中すら歩けないほど視力が悪くて普段はコンタクト)タクシー乗り場まで行けない事を告げるとクラークさんが大通りまで手を取ってタクシーに乗せてくれました。新宿院には親切なドクター、クラークさんがいるのに、ここの口コミはすべてのクリニックが悪いように書かれていて残念です。
引用:みん評
[/say]
[say name=”プリンさん” img=”https://cdn.awsapps.jp/klcs/2022/07/06144112/%E3%82%B9%E3%82%AF%E3%83%AA%E3%83%BC%E3%83%B3%E3%82%B7%E3%83%A7%E3%83%83%E3%83%88-2022-01-30-0.46.09.png” from=”left”]
初回キャンペーンがあったのでまずは相談に行き、そこで事前の説明がしっかりしていて、いろいろ施術方法を聞けたので施術もお願いしました。
引用:みん評
[/say]
[say name=”ももさくさん” img=”https://cdn.awsapps.jp/klcs/2022/07/06144115/%E3%82%B9%E3%82%AF%E3%83%AA%E3%83%BC%E3%83%B3%E3%82%B7%E3%83%A7%E3%83%83%E3%83%88-2022-01-30-0.46.11.png” from=”right”]
ここの口コミを読んでいると、感じ方は人それぞれだなぁと思います。わたしは、今まで他の美容外科にいくつか行きましたが、スタッフさんの対応は、窓口、看護師さん、先生、ここが一番良かったです。
引用:みん評
[/say]
クリニック情報
| シミ取り治療の内容 | オーロラ(光美白) レーザートーニング Qスイッチヤグレーザー フォトシルクプラス カーボンピーリング ピコレーザー 脱!シミ宣言 アキュチップ Qスイッチルビーレーザー 炭酸ガスレーザー パール美肌 コラーゲンピール グロスピール レチノールピール 美肌アモーレ |
| シミ取り放題 | なし |
| カウンセリングの料金 | 無料 |
| 予約方法 | WEB・電話 |
| 支払い方法 | 現金 クレジットカード デビットカード メディカルローン |
| 割引 キャンペーン |
会員特典 学割 |
| 院数 | 39院 |
水の森美容外科
3つの安心ポイントで納得の治療
出典:水の森美容外科
シミ取り治療の値段
| ピコトーニング | 16,500円/回 全顔1回 |
| メソナJ | 26,400円/回 美白コース(肝班・美白・くすみ・シミ) |
※上記はすべて税込価格表示
クリニックの人気ポイント
- 肌の再生力を上げ薄いシミにも対応
- 痛みなく美容成分を浸透
- 3つの安心ポイントで不安のない診療
人気ポイント①肌の再生力を上げ薄いシミにも対応
出典:水の森美容外科
水の森美容外科で使用しているピコシュアは、世界初の医療用ピコ秒レーザーです。
肌全体の再生力を上げ、薄いシミ・肝斑・くすみ・色ムラ・そばかすなどを軽減します。
小さな粒子(シミや肝斑)の色素を破壊するので、今までのシミ取り治療で効果を感じられなかった方はチェックしてみてください。
人気ポイント②痛みなく美容成分を浸透
出典:水の森美容外科
メソナJは経皮導入機械(メソポレーション)で、普通では浸透しにくい高分子の美容成分を大量にお肌の深層まで浸透させる事ができます。
傷や痛みを伴うことなく、イオン導入に比べ70倍、通常の塗布と比べると約300倍の浸透効果が期待できます。
シミや色素沈着が目立ち始めた方や、肝斑の方に適している施術です。
人気ポイント③3つの安心ポイントで不安のない診療
出典:水の森美容外科
水の森美容外科には3つの安心ポイントがあります。カウンセリング・検診は何度でも無料です。
皆様の相談は医師が聞いて必要な治療のみを提案し、不要な治療やオプションは勧めません。
診察の後はカウンセラーが話を聞いてくれます。医師の前では話せなかったことや疑問に応えてくれるので、不安を解消できます。
シミ取り治療の効果がわかる症例写真

出典:水の森美容外科
症例詳細はこちら
詳細:ピコトーニング:3回照射
税込:最低/最高価格 16,500円〜74,250円
リスク・副作用:治療部位に軽度の赤みや腫れが現れる可能性がありますが、通常数時間から数日で治ります。施術箇所が黒くかさぶたになる可能性があります。施術後に日焼けをすると色素沈着(戻りシミ)が出る可能性があります。
[open title=”▶︎症例写真をもっと見る”]

出典:水の森美容外科
症例詳細はこちら
詳細:ピコトーニング:2回照射
税込:最低/最高価格 16,500円〜74,250円
リスク・副作用:治療部位に軽度の赤みや腫れが現れる可能性がありますが、通常数時間から数日で治ります。施術箇所が黒くかさぶたになる可能性があります。施術後に日焼けをすると色素沈着(戻りシミ)が出る可能性があります。

出典:水の森美容外科
症例詳細はこちら
詳細:ピコレーザー:1回照射
税込:最低/最高価格 ※0.000円〜0,000円
リスク・副作用:副作⽤:痛み・赤味・熱感・色素沈着・肝斑の悪化
[/open]
クリニックの口コミ
[say name=”とくめいさん” img=”https://cdn.awsapps.jp/klcs/2022/07/06144110/%E3%82%B9%E3%82%AF%E3%83%AA%E3%83%BC%E3%83%B3%E3%82%B7%E3%83%A7%E3%83%83%E3%83%88-2022-01-30-0.46.00.png” from=”right”]
いろんな美容外科にカウンセリングに行きましたが、ここのクリニックが一番良かったです。受付の方、ドクター、ナース、皆さん優しいです。カウンセリングも、特に名古屋院は、院長が話しやすく質問も丁寧に答えてくれます。
引用:みん評
[/say]
[say name=”たさん” img=”https://cdn.awsapps.jp/klcs/2022/07/06144112/%E3%82%B9%E3%82%AF%E3%83%AA%E3%83%BC%E3%83%B3%E3%82%B7%E3%83%A7%E3%83%83%E3%83%88-2022-01-30-0.46.09.png” from=”left”]
新宿院で一番クチコミ数が少ない先生にお願いしたため若干不安でしたが、カウンセリングから安心感が凄かったです。説明も分かりやすく、とても感じが良い方でしたし、手術中も声かけを沢山してくださいました。
引用:みん評
[/say]
[say name=”匿名さん” img=”https://cdn.awsapps.jp/klcs/2022/07/06144115/%E3%82%B9%E3%82%AF%E3%83%AA%E3%83%BC%E3%83%B3%E3%82%B7%E3%83%A7%E3%83%83%E3%83%88-2022-01-30-0.46.11.png” from=”right”]
他のクリニックの料金をHPなどで比較しましたが、水の森美容外科は安いと判断しました。医師の説明もHPと同じでよくわかり、ここなら任せられると思いました。少しナーバスにもなりましたが、先生とスタッフは親切で安心して手術に臨めました。
引用:みん評
[/say]
クリニック情報
| シミ取り治療の内容 | ピコトーニング ピコフラクショナル ピーリング4種 メソナJ 内服薬 |
| シミ取り放題 | 現在対応なし |
| カウンセリングの料金 | 無料 |
| 予約方法 | WEB・電話・アプリ |
| 支払い方法 | 現金 クレジットカード 銀行振込 医療ローン |
| 割引 キャンペーン |
通常割引 部分写真モニター |
| 院数 | 5院 |
シロノクリニック
レーザー治療専門クリニック
出典:シロノクリニック
シミ取り治療の値段
| フォトシルクプラス | 66,000円/回 顔全体 |
| Qスイッチルビーレーザー | 5,500円/回 直径5mm以内 |
※上記はすべて税込価格表示
クリニックの人気ポイント
- お肌の悩みを全部まとめて治療
- 美容のあらゆる悩みを解決
人気ポイント①お肌の悩みを全部まとめて治療
シロノクリニックでは、シミ取り治療にはQスイッチルビーレーザー、肝斑にはQスイッチヤグレーザーを使用しています。
フォトシルクプラスは、シミや肝斑だけでなくくすみや毛穴の黒ずみなど全部まとめて治療できます。
もう治らないと諦めていた方もまずはカウンセリングを受けてみましょう。
人気ポイント②美容のあらゆる悩みを解決
シロノクリニックは、レーザー治療機器を135台以上完備していて、症例数は開院以来25万症例を超えています。
シミ・しわ・たるみや毛穴、ニキビ跡などの皮膚に関するものだけでなく、美容関係のあらゆる悩みを解決に導くクリニックです。
自分に必要な治療を知るには、まずはカウンセリンを受けてみましょう。
シミ取り治療の効果がわかる症例写真

出典:シロノクリニック
症例詳細はこちら
詳細:レーザー治療(Qスイッチルビーレーザー):しみ、そばかす、あざなどの原因となるメラニン色素を破壊する治療です。
税込:最低/最高価格5mm以下 5,500円/1㎠ 22,000円(税込)
リスク・副作用:赤み、熱感、色素沈着、痒みなどの可能性があります。
[open title=”▶︎症例写真をもっと見る”]

出典:シロノクリニック
症例詳細はこちら
詳細:光治療(フォトシルクプラス):光エネルギーで、しみ、くすみ、にきび跡、そばかすなどを改善し、美肌・美白を目指す治療です。
税込:最低/最高価格 両頬+鼻 1回 44,000円/3回 118,800円/5回 176,000円(税込)
リスク・副作用:赤み、熱感、腫れ、痒み、乾燥、色素沈着、火傷、水疱形成などの可能性があります。※症例写真を掲載
出典:シロノクリニック
[/open]
クリニックの口コミ
[say name=”ケーゼクーヘンさん” img=”https://cdn.awsapps.jp/klcs/2022/07/06144110/%E3%82%B9%E3%82%AF%E3%83%AA%E3%83%BC%E3%83%B3%E3%82%B7%E3%83%A7%E3%83%83%E3%83%88-2022-01-30-0.46.00.png” from=”right”]
シロノクリニックに決めたきっかけは、シミのレーザーが出来るクリニックを探していたところ、宣伝もあまりしていないし、HPを見ると流れが細分化されていて、会計も明瞭だったからです。
引用:みん評
[/say]
[say name=”名無しさん” img=”https://cdn.awsapps.jp/klcs/2022/07/06144112/%E3%82%B9%E3%82%AF%E3%83%AA%E3%83%BC%E3%83%B3%E3%82%B7%E3%83%A7%E3%83%83%E3%83%88-2022-01-30-0.46.09.png” from=”left”]
初回に先生とお話しし、初めてだったので不安なことを伝えると、私の肌の状態、それぞれのレーザーの特徴や効果等全種類説明してくれ、その上でフォトシルクが今の肌に一番いいと納得するまで話してくれました。
引用:みん評
[/say]
クリニック情報
| シミ取り治療の内容 | Qスイッチルビーレーザー Qスイッチヤグレーザー 炭酸ガスレーザー フォトシルクプラス アキュチップ リバースピール 美容点滴・注射 |
| シミ取り放題 | なし |
| カウンセリングの料金 | WEBからの初診予約で初回無料 通常3,300円 |
| 予約方法 | WEB・電話 |
| 支払い方法 | 現金 クレジットカード メディカルローン |
| 割引 キャンペーン |
65歳以上10%割引 ポイントシステム 紹介割引 学生割引 医療従事者割引 |
| 院数 | 4院 |
聖心美容クリニック
冷静な判断で納得の治療
出典:聖心美容クリニック
シミ取り治療の値段
| ポテンツァ | 44,000円/回 肝斑治療・顔全体 |
| しみ・あざ取りレーザー | 5,500円/回 直径1mm |
※上記はすべて税込価格表示
クリニックの人気ポイント
- 悩み解決に必要な薬剤を効果的に挿入
- シミをピンポイントで取るレーザー治療
人気ポイント①悩み解決に必要な薬剤を効果的に挿入
聖心美容クリニックでは、総合美容マシンポテンツァを導入しています。
ニードル(針)を使って、お悩み解決に必要な薬剤を真皮層に効果的にいれることが可能です。
痛みや熱傷のリスクが少なく、肝斑の原因に直接アプローチします。美容マシンが始めての方にも、より高い満足度を求める方にも適しています。
人気ポイント②シミをピンポイントで取るレーザー治療
気になるシミをピンポイントで瞬間的に取るのがレーザー治療です。
レーザーの波長(特性)によって効果を発揮する症状が違います。
症状に合ったレーザーを使うためには、自分のシミを知ることが大切です。
そのためにはカウンセリングを受けて、自分に必要な治療方法を知りましょう。
シミ取り治療の効果がわかる症例写真

出典:聖心美容クリニック
症例詳細はこちら
詳細:しみレーザー:麻酔クリームを塗布し、対象部分にレーザーを照射する
税込:最低/最高価格 24,750円
リスク・副作用:赤み、色素沈着、再発
[open title=”▶︎症例写真をもっと見る”]

出典:聖心美容クリニック
症例詳細はこちら
詳細:しみ・あざ取りレーザー:麻酔クリームを塗布し、対象部分にレーザーを照射する。
税込:最低/最高価格 33,000円
リスク・副作用:赤み、色素沈着、再発

出典:聖心美容クリニック
症例詳細はこちら
詳細:PICOシミレーザー:麻酔クリームを塗布し、対象部分にレーザーを照射する。
税込:最低/最高価格 16,500円
リスク・副作用:赤み、色素沈着、再発
[/open]
クリニックの口コミ
[say name=”わた雪さん” img=”https://cdn.awsapps.jp/klcs/2022/07/06144110/%E3%82%B9%E3%82%AF%E3%83%AA%E3%83%BC%E3%83%B3%E3%82%B7%E3%83%A7%E3%83%83%E3%83%88-2022-01-30-0.46.00.png” from=”right”]
担当のコンシェルジュのカウンセリングは丁寧でとても礼儀正しく、担当医から受ける希望の施術の説明も詳しく、解りやすい。否定や違う施術を勧められたり料金が予想より高くなったりした事などは一切なかった。
引用:みん評
[/say]
[say name=”ミミロルさん” img=”https://cdn.awsapps.jp/klcs/2022/07/06144112/%E3%82%B9%E3%82%AF%E3%83%AA%E3%83%BC%E3%83%B3%E3%82%B7%E3%83%A7%E3%83%83%E3%83%88-2022-01-30-0.46.09.png” from=”left”]
予約をしていた前日にヘルペスになってしまい、一度ドタキャンをしましたが、受け付けの方が神対応をして下さいました。予約を取り直し来院すると、スタッフの方が皆凄く美しくて驚きました。丁寧なご対応をにも感謝です。
引用:みん評
[/say]
クリニック情報
| シミ取り治療の内容 | しみ・あざ取りレーザー 肝斑レーザー・光治療 ポテンツァ プレミアムPICO肌再生療法 セレックV ライムライト N-トレチノインシリーズ処方 ナノメッドVAエッセンス P-フェイシャル ルミキシル センシルシミ GF-DNAセラム処方 トラネキサム酸錠シミ |
| シミ取り放題 | なし |
| カウンセリングの料金 | 無料 |
| 予約方法 | WEB・電話 |
| 支払い方法 | 現金 クレジットカード デビットカード QRコード 医療ローン |
| 割引 キャンペーン |
セイシンポイントクラブ |
| 院数 | 10院 |
表参道スキンクリニック
心まで明るくなる治療

出典:表参道スキンクリニック
シミ取り治療の値段
| レーザートーニング | 21,000円/回 全顔 |
| フォトフェイシャル | 43,000円/回 |
※上記はすべて税込価格表示
クリニックの人気ポイント
- 3つの施術を組み合わせてシミ改善
- 心まで明るくなる治療
人気ポイント①3つの施術を組み合わせてシミ改善
表参道スキンクリニックのシミ・そばかす改善コースは、一人ひとりの症状に合わせて3つの施術を組み合わせられるのが特徴です。
経験豊富なドクターやカウンセラーが、患者様の症状や希望をしっかりとカウンセリングしてから適切な治療法を提案してくれます。
人気ポイント②心まで明るくなる治療
表参道スキンクリニックはシミなどの外見だけでなく、内面にあるコンプクレスも解消したいと考えている方におすすめのクリニックです。
外見の悩みを解消すると、心まで明るくなる可能性が大きいからです。
たかがシミや肝斑と考えず、小さな悩みも相談してみましょう。
クリニックの口コミ
[say name=”アントレさん” img=”https://cdn.awsapps.jp/klcs/2022/07/06144110/%E3%82%B9%E3%82%AF%E3%83%AA%E3%83%BC%E3%83%B3%E3%82%B7%E3%83%A7%E3%83%83%E3%83%88-2022-01-30-0.46.00.png” from=”right”]
大阪院で施術を受けました。痛みのことが一番心配だったので、カウンセリング時にはしつこく聞きました。カウンセラーさんの実体験も交えて話してくれて、1時間半ほどかかりました。
引用:みん評
[/say]
[say name=”マミーさん” img=”https://cdn.awsapps.jp/klcs/2022/07/06144112/%E3%82%B9%E3%82%AF%E3%83%AA%E3%83%BC%E3%83%B3%E3%82%B7%E3%83%A7%E3%83%83%E3%83%88-2022-01-30-0.46.09.png” from=”left”]
女性スタッフの方もとても対応が良く話を聞いてくれるので安心します。先生が細かいところまでチェックをし施術をしてくださり、鏡をみながらアドバイスをして頂けるので満足しています。
引用:みん評
[/say]
クリニック情報
| シミ取り治療の内容 | レーザートーニング レーザーフェイシャル フォトフェイシャル BBL光治療 シミ・そばかす改善コース 内服薬・外用薬 肝斑改善コース |
| シミ取り放題 | なし |
| カウンセリングの料金 | 初診料:3,000円 |
| 予約方法 | WEB・電話 |
| 支払い方法 | 現金 クレジットカード |
| 割引 キャンペーン |
症例モニター |
| 院数 | 4院 |
エトワールレジーナクリニック
心も癒やしてくれるクリニック
シミ取り治療の値段
| ピコトーニング | 8,580円/回 初回限定 |
| フォトフェイシャル | 16,400円/回 初回限定 |
※上記はすべて税込価格表示
クリニックの人気ポイント
- ピコレーザーでシミの悩みを解決
- 3つの価値提供で心も癒す
人気ポイント①ピコレーザーでシミの悩みを解決
シミやそばかす、肝斑などの悩みは、ピコレーザーで全て解決します。
ピコトーニングで肌のメラニン色素を減らすのです。
ピコフラクショナルと合わせると、肌の真皮層が刺激され毛穴や肌のハリ感もアップします。
徹底したカウンセリングで、隠れシミも根こそぎアプローチします。
人気ポイント②3つの価値提供で心も癒す
エトワールレジーナクリニックでは、3つの価値を提供しています。
1つ目は、心の癒やしを感じられるおもてなしで、カウンセリングの時間を大切にしてくれます。
2つ目はオーダーメイドな治療で、3つ目は上質な空間がもたらす至福の時間です。
シミ取り治療をするだけでなく、心もリラックスできしっかり癒やしてくれます。
シミ取り治療の効果がわかる症例写真
症例詳細はこちら
詳細:ピコトーニング:ピコレーザーを使用したシミやくすみの改善、肌のハリやキメの改善、毛穴の引き締めを目的とする治療です。
税込:最低/最高価格 8,580円〜192,000円
リスク・副作用:赤みや腫れは出ることがありますが通常は1-2日で消失します。シミに強く反応するとかさぶたができることがありますが通常はメイクで隠せる程度ですし1週間程度で自然に剥がれます。他の副作用としては毛嚢炎・色素沈着がありますが飲み薬や塗り薬で治療が可能です。
クリニックの口コミ
[say name=”あいゆさん” img=”https://cdn.awsapps.jp/klcs/2022/07/06144110/%E3%82%B9%E3%82%AF%E3%83%AA%E3%83%BC%E3%83%B3%E3%82%B7%E3%83%A7%E3%83%83%E3%83%88-2022-01-30-0.46.00.png” from=”right”]
1時間半?くらいのしっかりとしたカウンセリングでお肌状態と自分の悩みや希望に合わせて治療の提案をしていただき、今後の予防とくすみ美白治療にはピコトーニングがいいとおすすめしていただきました。
引用:google
[/say]
[say name=”gkさん” img=”https://cdn.awsapps.jp/klcs/2022/07/06144112/%E3%82%B9%E3%82%AF%E3%83%AA%E3%83%BC%E3%83%B3%E3%82%B7%E3%83%A7%E3%83%83%E3%83%88-2022-01-30-0.46.09.png” from=”left”]
初めての美容医療でしたが、カウンセリングが長めで丁寧に話を聞いてくれたので安心できました。 値段は他クリニックと比べても相場くらいな印象。
引用:google
[/say]
クリニック情報
| シミ取り治療の内容 | 肝斑集中ケアプラン ピコトーニング ミックスピール イオン導入 プラズマ シミ内服 ピコレーザー フォトフェイシャル |
| シミ取り放題 | 1回:60,500円 1年プラン:151,800円 |
| カウンセリングの料金 | 無料 |
| 予約方法 | WEB・電話 |
| 支払い方法 | 現金 クレジットカード 医療ローン |
| 割引 キャンペーン |
VIPプラン ゴールドプラン プラチナプラン ダイヤモンドプラン |
| 院数 | 2院 |
ガーデンクリニック
20年以上変わらぬ美への追求
出典:ガーデンクリニック
シミ取り治療の値段
| ピコシミ取り | 3,300円/回 1mm |
| IPL | 11,000円/回 初回限定 |
※上記はすべて税込価格表示
クリニックの人気ポイント
- まだらに残らないシミ治療
- 20年以上変わらぬ美への追求
人気ポイント①まだらに残らないシミ治療
ピコレーザーは、痛みを抑えながらシミを改善できる治療です。
シミの大きさに関わらず、浅い層のシミから深い層にあるシミまで細かく砕いて体外への排せつを促します。
まだらに残ることなく治療できるので、シミや肝斑が気になる人は相談して下さい。
人気ポイント②20年以上変わらぬ美への追求
ガーデンクリニックは開院してから23年を迎え、20年以上変わらぬ美への追求をしています。
常に新しい技術や機材も積極的に取り入れながら、一人ひとりに必要な治療を提案してきました。
カウンセリングで提示した金額以上の追加費用が発生しないのも安心のポイントです。
シミ取り治療の効果がわかる症例写真
クリニックの口コミ
[say name=”結唯さん” img=”https://cdn.awsapps.jp/klcs/2022/07/06144110/%E3%82%B9%E3%82%AF%E3%83%AA%E3%83%BC%E3%83%B3%E3%82%B7%E3%83%A7%E3%83%83%E3%83%88-2022-01-30-0.46.00.png” from=”right”]
自分の現状に合わせていろいろアドバイスをしてくださって親切でした。ありがとうございました。
引用:google
[/say]
[say name=”有華さん” img=”https://cdn.awsapps.jp/klcs/2022/07/06144112/%E3%82%B9%E3%82%AF%E3%83%AA%E3%83%BC%E3%83%B3%E3%82%B7%E3%83%A7%E3%83%83%E3%83%88-2022-01-30-0.46.09.png” from=”left”]
初めての来院の際、駅近なのに迷ってしまいました。でも、電話したらスタッフさんが迎えに来てくれて、すごく良心的でした。
引用:google
[/say]
クリニック情報
| シミ取り治療の内容 | ピコシミ取り ピコトーニング イオン導入 ピコフラクショナル ダーマペン IPL |
| シミ取り放題 | 顔:330,000円 |
| カウンセリングの料金 | 無料 |
| 予約方法 | WEB・電話 |
| 支払い方法 | 現金 クレジットカード 医療ローン |
| 割引 キャンペーン |
部分モニター 院内モニター |
| 院数 | 8院 |
城本クリニック
有資格の医師と看護師のみで構成
出典:城本クリニック
シミ取り治療の値段
| しみレーザー | 11,000円/回 5mm×5mm |
| フォトフェイシャルSR | 10,780円/回 両頬トライ |
※上記はすべて税込価格表示
クリニックの人気ポイント
- 光レーザーでシミ取り治療
- 経験豊富な医師が担当
人気ポイント①光レーザーでシミ取り治療
シミや肝斑そしてそばかすなどは、フォトフェイシャル・フォトRF(オーロラ)などの光レーザーの治療で改善できる場合がほとんどです。
濃さや症状によって数回に分けて治療をしたり、通うのが難しい方にはホームケア商品を処方したりしています。
適切な方法を知るためにも、まずはカウンセリングを受けましょう。
人気ポイント②経験豊富な医師が担当
城本クリニックでは、経験豊富な医師がカウンセリングからアフターケアまで行ってくれる美容専門クリニックです。
資格のないカウンセラーやコンシェルジュは在籍していません。安全を重視して患者の身になって考えた美容医療を提供してくれます。
シミ取り治療の効果がわかる症例写真

出典:城本クリニック
症例詳細はこちら
詳細:光レーザー治療:濃さ・症状によって数回に分けて治療
税込:最低/最高価格 1回9,800〜29,800円
リスク・副作用:むくみ、腫れ、内出血がありますが、時間とともに治ります。
[open title=”▶︎症例写真をもっと見る”]

出典:城本クリニック
症例詳細はこちら
詳細:光レーザー治療:濃さ・症状によって数回に分けて治療
税込:最低/最高価格 1回9,800〜29,800円
リスク・副作用:むくみ、腫れ、内出血がありますが、時間とともに治ります。

出典:城本クリニック
症例詳細はこちら
詳細:光レーザー治療:濃さ・症状によって数回に分けて治療
税込:最低/最高価格 1回9,800〜29,800円
リスク・副作用:むくみ、腫れ、内出血がありますが、時間とともに治ります。
[/open]
クリニックの口コミ
[say name=”Aderaさん” img=”https://cdn.awsapps.jp/klcs/2022/07/06144110/%E3%82%B9%E3%82%AF%E3%83%AA%E3%83%BC%E3%83%B3%E3%82%B7%E3%83%A7%E3%83%83%E3%83%88-2022-01-30-0.46.00.png” from=”right”]
美容整形自体が初めてだったので不安もありましたが、カウンセリングから施術まで親切に対応して頂き特に不安もなかったです。
引用:みん評
[/say]
[say name=”らふぇえるさん” img=”https://cdn.awsapps.jp/klcs/2022/07/06144112/%E3%82%B9%E3%82%AF%E3%83%AA%E3%83%BC%E3%83%B3%E3%82%B7%E3%83%A7%E3%83%83%E3%83%88-2022-01-30-0.46.09.png” from=”left”]
初めての整形で躊躇する気持ちもあったのですが、説明など丁寧にしてくださり自分の納得の行くまで話をしてくれました。
引用:みん評
[/say]
クリニック情報
| シミ取り治療の内容 | フォトフェイシャルSR ケミカルピーリング レーザー治療 レーザートーニング イオン導入 美肌注射・美容点滴 肝斑徹底治療プログラム |
| シミ取り放題 | なし |
| カウンセリングの料金 | 無料 |
| 予約方法 | WEB・電話 |
| 支払い方法 | 現金 クレジットカード 医療ローン |
| 割引 キャンペーン |
美容治療初回限定トライアル |
| 院数 | 25院 |
シミ取り治療(レーザー)の流れ
4STEPで紹介

STEP①カウンセリング・診療
美容医療は病気ではないため、カウンセリングがとても大切です。
まず、この治療を受けて自分がどうなりたいかを伝えます。
そして、医師から治療の説明を受けて、気になることは全て確認しましょう。
STEP②シミ取りレーザーを開始
まず初めに、鏡を見ながら取りたいシミの確認をします。
確認できたら、レーザーの光から目を守るためにゴーグルをします。
レーザー治療は、一つのシミに10秒ぐらいの照射で、ゴムで弾かれるような感覚です。
照射が終わったら、冷やして処置をします。
STEP③キズ保護テープを貼って1週間ほど過ごす
レーザー治療した場所を保護するために、肌色のキズテープを貼って帰宅します。
テープを貼った場所以外は、普通にメイクや洗顔をして大丈夫ですが、テープを剥がさないように気を付けましょう。
テープは、一週間ほど貼ったままにし、剥がしたあとは塗り薬を塗布します。
STEP④クリニックで検診する
薬を塗ってから2週間後に検診をします。
この時期は、人や部位によって状況が違うので、クリニックのアドバイスに従ってケアをしましょう。
3ヵ月程度は油断禁物。塗り薬で予防ケアとUVケアをしっかりするのが大切です。
シミ取り治療が失敗する5つの原因

失敗①治療実績が少ないクリニックを選んだ
シミ取り治療は、シミの種類や状況に合わせた治療が大切です。
一見しただけは、どんなシミか判断が難しい場合があるので、正しいシミ取り治療には経験や実績が必要です。
シミ取り治療の実績がないクリニックや、治療経験の浅い医師には注意しましょう。
失敗②色素沈着を起こした
シミ取りレーザーの照射後に、カサブタを無理に剥がすと色素沈着を起こしてしまいます。
カサブタがあると気になりますが、自然に剥がれ落ちるまで待ちましょう。
失敗③肌が乾燥していてダウンタイムが長引いた
お肌が乾燥しているときにレーザー照射をすると、赤みなどのダウンタイムが長引きます。
乾いていると燃えやすいのと同じ原理です。普段からお肌はしっかり保湿をし、施術後の保湿にも注意しましょう。
失敗④施術後のアフターケアを怠った
施術後のアフターケアを怠ると、せっかく取ったシミが再発する場合があります。
スキンケアや紫外線対策をしっかりしましょう。クリニックによっては、クリームの使用やトーニング治療を行うところもあります。
失敗⑤シミが再発してしまった
レーザー治療では、表面にできているシミを取り除くことはできても、シミを生産するメラノサイトまでは破壊できません。そのため、また出てくる可能性があります。
再発を防ぐために必要なのは、シミに合わせた照射とアフターケアです。
シミには慢性的な側面があるので、出たら取るということも念頭におくと良いでしょう。
シミ取り治療に関連するよくある質問

施術後のアフターケアはどうすればいいですか?
施術後のアフターケアで大切なのが、摩擦・乾燥・紫外線対策です。
摩擦によって色素沈着や傷跡が残るので、メイクの際などもこすりすぎないように注意しましょう。
ダメージを受けたお肌のためには保湿と紫外線対策も重要です。保湿クリームやUVクリームをしっかり塗るようにしてください。
シミ取りクリームは効果がありますか?
シミ取りクリームの目的は、ターンオーバーを整えることとメラニン色素の生成を抑えることです。
長い目で見るとシミ対策に効果があるものの、今あるシミを消すものではありません。
しかし、シミ対策・予防として自分に合うクリームを使用することは大切です。
クリニックと皮膚科どっちがいいですか?
一般皮膚科は、皮膚病や皮膚疾患を治すことを目的とし、美容クリニックは美しい肌を作ることを目的としています。
シミを取ったり肝斑を消したりなど、肌を美くしたいと思っている人は美容クリニックが適しています。
シミ取り治療のおすすめクリニックのまとめ
今回は、シミ取り治療が評判の良いおすすめのクリニックを紹介しました。
シミ取り治療を失敗しないために大切なのは、実績や経験が豊富なクリニックと医師を選ぶことです。
気になるクリニックで、カウンセリングを受けましょう。










































